
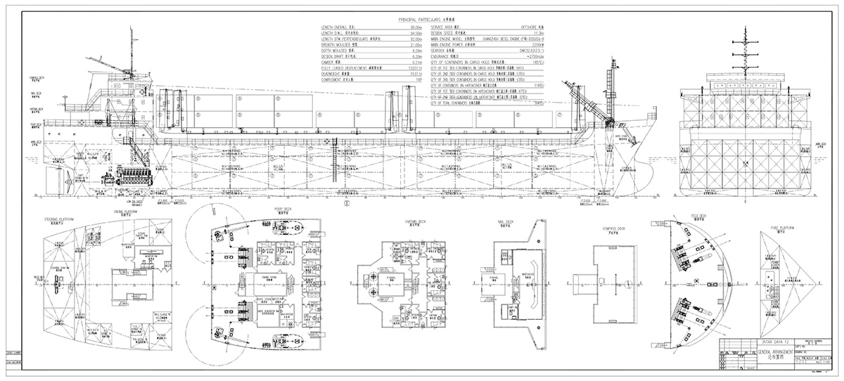
7500 DWT Multipurpose Container Ship
Length Overall: 98.00 M
Length D.W.L.: 94.50M
Length BTW Perpendiculars: 92.00 M
Breadth Moulded: 21.00 M
Depth Moulded: 8.20 M
Design Draft: 6.20 M
Design Speed: 11.3 KN
Complement: 18 P
Service Area: Coastal Area
Main Engine Model: 8230ZCd-8
Main Engine Power: 2206 KW * 1 Set
Gearbox Model: GWC52.62, 3.5:1
Qty Of Total Containers: 304 TEU